Basics
Description
-
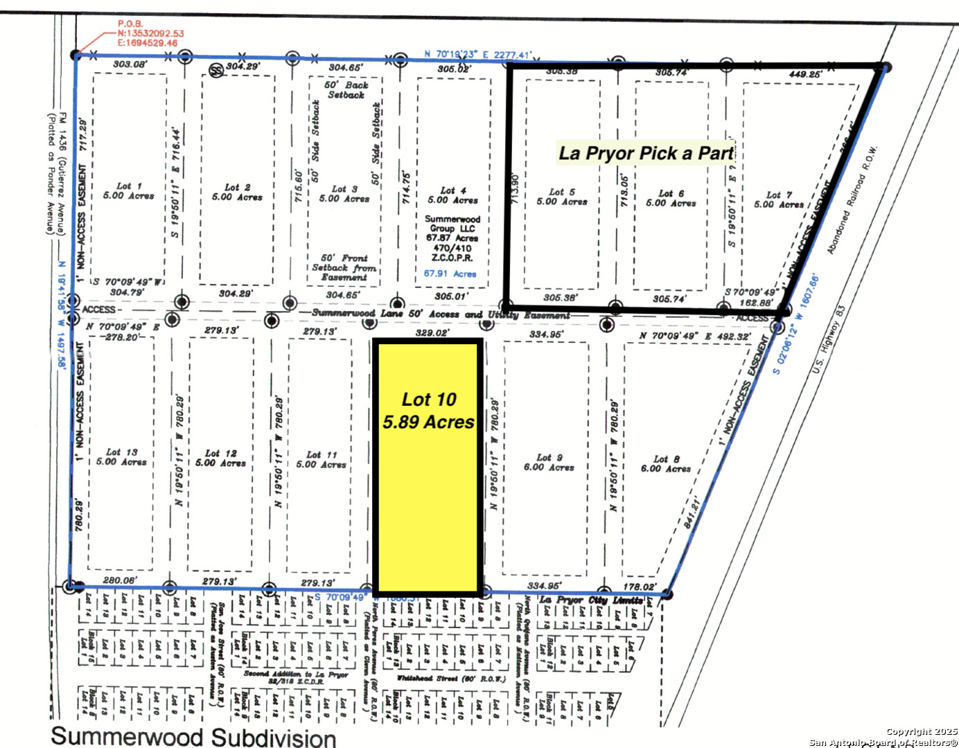
Description:
New "Summerwood Subdivision" in La Pryor, Tx offering unrestricted lots from 1-6 acres. This Lot 10 has 329' frontage. Water and electricity will be available at the street. This land is unrestricted for use as a homesite, agriculture or business. Property tax information is not yet available as taxes have not been assessed yet.
Show all description
